Coral reef experts have grown wary of summer months because if temperatures get too hot in July or August, whole reefs can get wiped out.
Since 2000, global temperatures have been breaking records almost annually and reefs have been dying en masse, undergoing a process known as “coral bleaching,” when the organisms that live on coral, providing nutrients and vibrant color, get cooked alive, turning coral a bone-white.
Bleaching events have accelerated in recent years and scientists predict that nearly all coral reefs could be destroyed by this phenomenon by 2050.
Take Action: Stand Up for the Arctic
Coral reefs are also threatened by industrial pollution, invasive species, overfishing, plastic pollution, and ocean acidification, which is when the oceans absorb too much carbon dioxide from fossil fuel emissions and acidify.
Losing coral reefs would have a profound impact on the global environment and human society, according to UNESCO.
Reefs foster vast ecosystems, providing food, shelter, and breeding grounds for thousands of marine creatures.
They provide natural buffers for coastal communities, preventing waves from destroying shorelines. The many types of fish swimming throughout their lattices, meanwhile, offer a ready supply of food for people.
Read More: Plastic Is Causing Coral Reefs to Get Sick and Die
They’re also visual wonders that generate billions of dollars in tourism revenue annually for countries that neighbor them.
“[Coral reefs] are facing existential threats, and their loss would be devastating ecologically and economically,” Dr. Mechtild Rossler, Director of the World Heritage Centre, said in a statement. “These rainforests of the sea protect coastal communities from flooding and erosion, sustain fishing and tourism businesses, and host a stunning array of marine life.”
Global Citizen campaigns on sustainable ocean management and you can take action on this issue here.
Here are five of the most endangered reefs in the world
Seychelles Coral Reefs

The archipelago nation of Seychelles lost up to 90% of its coral reefs after a catastrophic bleaching event in 1998. In 2016, another massive bleaching event struck and reversed the recoveries that had been made in the intervening years.
Now, the Seychelles government is in a race against time as it tries to protect its lucrative, beautiful, and ecologically essential reefs from being eliminated entirely, according to ABC News.
Read More: Leonardo DiCaprio Helped Pay Off Seychelles Debt to Protect Oceans
Within one reef, for instance, local conservationists have recovered, nurtured, and transplanted 50,000 coral fragments to promote a longer-lasting recovery, according to ABC.
Kingman Reef in Hawaii

As ships travel the world, they carry species on their hulls. Sometimes, these species get deposited in foreign waters and cause mayhem by disrupting food chains and ecosystems.
Known as invasive species, these creatures are a major threat to the world’s coral reefs.
In Hawaii, the Kingman Reef is suffering from invasive algae species that are blotting out various forms of life and turning corals a dark green or black.
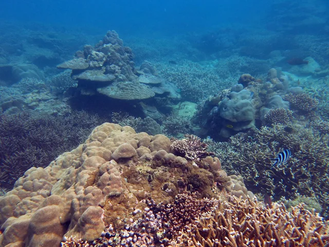
Great Barrier Reef

Visible from space and stretching 1,400 miles in length, the Great Barrier Reef is one of the world’s most splendid natural wonders.
But for all its grandeur, these reefs are just as threatened as coral found elsewhere. In 2016, bleaching affected 90% of corals throughout Australia’s waters.
Read More: Underwater Sculptor’s Coral Bleaching Exhibit Is One Everyone Needs to See
The Great Barrier Reef is also being damaged by coral-eating starfish, which have been responsible for half of the reef’s decline between 1985-2012.
Caribbean Coral Reefs

Although coral reefs are a main draw for tourism in the first place, tourism is one of the main drivers of the decline of coral reefs throughout the Caribbean.
As cruise ships travel throughout the Caribbean, ferrying tourists from island to island, massive amounts of waste are being poured into the water, polluting reef habitats and causing them to die.
Southeast Asian Coral Reefs

There could be more pieces of plastic in the world’s oceans than fish by 2050. Nowhere is this frightening prospect more apparent than throughout the coral reefs of Southeast Asia, according to the World Resources Institute, where a potent mix of plastic pollution and overfishing are changing reef dynamics throughout the waters of various countries.
When a coral reef is confronted by plastic, its rates of disease and death skyrocket, according to an analysis by researchers at Cornell University. That’s because plastic can suffocate or puncture corals or block sunlight or nutrients from reaching them.
This is being compounded by overfishing in the region, where 95% of reefs are currently at risk.